
Kuva Talo on vähän katulinjasta irti ja talon eteläpuolella on pieni piha. Rinne laskee rakennuksen eteläpuolelta jyrkästi Provastinkadulle. Tontin autopysäköinti on ratkaistu luontevasti pihalla pensasaidan suojassa talon ja kadun välissä.
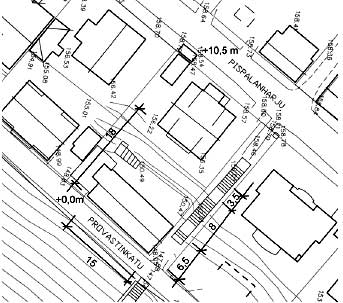
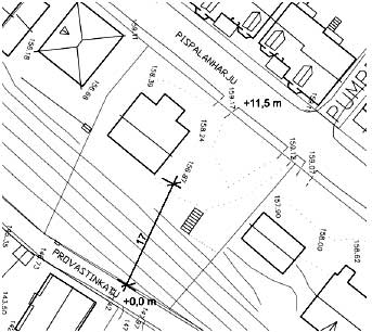
Kuva Pispalanharju 9:n tontti on jyrkästi etelään viettävässä rinteessä. Tontin korkeusero on 11,5 m. Mahdollisen eteläpuolisen uuden tontin rakennuspaikka on Provastinkadun varressa katulinjassa. Haasteena on tontin sisäänkäynnin ja autopaikotuksen ratkaiseminen sekä rakennuksen korkeus. Uudisrakennus ei saa peittää ylärinteen asuntojen näkymiä.
Kuva Vertailuesimerkkinä Provastinkatu 14, joka on tiiviisti katulinjaan rakennettu tontti.
Kuva Vertailuesimerkkinä Pispalanharju 23, joka on tiiviisti rakentunut kapea tontti ja rajautuu eteläpuolella Provastinkatuun.
Kohde edustaa rinnetonttityyppiä, jossa on nykyisen asemakaavan mukaisesti runsaasti käyttämätöntä rakennusoikeutta. Vuosisadan alussa valmistunut nykyinen asuinrakennus on pieni suhteessa tontin kokoon. Koska rakennus on sijoitettu kadun tuntumaan tontin kulmaan, tarjoaa tontin rakentamaton osa mahdollisuuden tutkia käyttämättömän rakennusoikeuden jakamista eri rakennuksiin nykyistä tonttia jakamalla.
Tontin jakoperusteita tutkimme kahden erityyppisen esimerkkitontin avulla, joissa molemmissa on onnistuttu rakentamaan tehokkaasti pienelle rinnetontille sulkematta naapureiden näkymiä ja luoden Pispalalle tyypillistä pienirakeista ja tiivistä asuinmiljöötä. Tontin jakamisella turvataan varmimmin nykyisen asuinrakennuksen säilyminen.
Rinteen jyrkkyys on lähes sama kuin tyyppitontissa, joten tontin topografian puolesta kohde toimii jakamisen malliratkaisuna, jos tontti jaetaan korkeuskäyrien suunnassa. Provastinkatuun rajautuva massaltaan yksinkertainen rakennus, jonka kapean runkosyvyyden ja korkeiden julkisivujen mittasuhteet ovat hyvin pispalalaiset. Massa on selkeä ja luo rauhallisen katunäkymän. Sisäpiha on mielenkiintoinen ja monimuotoinen. Rinteen tasoeroissa kaksi miehenkorkuista betonipengerrystä.
Tontin jyrkkyys on vähän tyyppitonttia loivempi, mutta samantyyppinen ratkaisu on kuitenkin mahdollista, mikäli tyyppitontti jaettaisiin kahtia kohtisuoraan korkeuskäyriä vasten tai kolmeen osaan. Tontti on kapea ja sijaitsee Pispalanharjun ja Provastinkadun välissä.
Rakennus on pieni. Kapean runkosyvyyden ja korkeiden julkisivujen mittasuhteet ovat hyvin pispalalaiset. Pää- ja sivurakennuksen päädyt nousevat komeasti pystysuoraan alarinteen puolella. Päärakennuksen päädyn kauniista ikkunasta avautuu laaja järvimaisema.
Naapuritontin rajalla on pitkänmallinen, puurakenteinen, betoniperusteinen sivurakennus, joka nojaa naapuritontin sivurakennuksen betonimuuriin. Sivurakennus ja katusivun betonipenger rajaavat pienen eteläpihan, joka avautuu komeasti Pyhäjärven maisemaan.